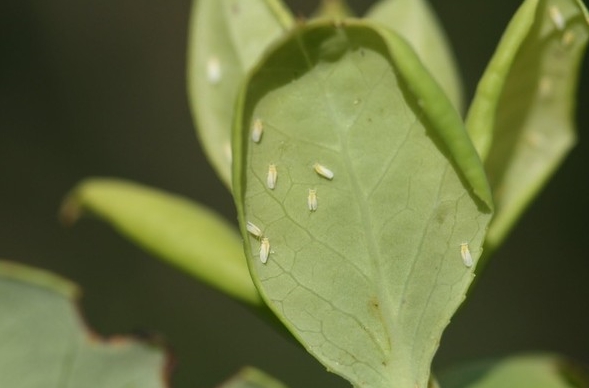
세계로컬타임즈 - 충남도 농업기술원 구기자 양분관리, 토양분석 후 정밀 시비가 핵심

  • 구름많음보령7.1℃
  • 흐림충주7.3℃
  • 흐림의성9.8℃
  • 구름많음합천11.4℃
  • 흐림북부산11.8℃
  • 맑음성산9.5℃
  • 맑음수원8.3℃
  • 구름많음제주9.8℃
  • 맑음진도군7.8℃
  • 흐림강릉8.0℃
  • 흐림장수5.9℃
  • 맑음광양시11.7℃
  • 맑음인천7.1℃
  • 흐림고창6.4℃
  • 흐림태백3.8℃
  • 맑음여수10.7℃
  • 맑음고흥11.1℃
  • 맑음천안7.8℃
  • 흐림영주7.7℃
  • 연무청주8.1℃
  • 구름많음상주8.3℃
  • 구름많음산청10.3℃
  • 흐림제천6.8℃
  • 맑음고산8.5℃
  • 흐림밀양11.7℃
  • 구름많음영천9.5℃
  • 맑음세종7.8℃
  • 흐림보은7.2℃
  • 맑음대전7.9℃
  • 흐림고창군6.8℃
  • 흐림추풍령6.6℃
  • 흐림구미9.3℃
  • 흐림영월7.7℃
  • 맑음북춘천10.0℃
  • 맑음완도9.3℃
  • 구름많음김해시12.9℃
  • 흐림울릉도7.3℃
  • 연무울산9.9℃
  • 흐림임실6.6℃
  • 맑음진주12.3℃
  • 맑음부안6.8℃
  • 맑음서청주7.5℃
  • 구름많음북강릉7.2℃
  • 흐림경주시10.2℃
  • 맑음이천8.0℃
  • 맑음강화5.9℃
  • 구름많음안동9.2℃
  • 맑음파주8.8℃
  • 맑음보성군10.7℃
  • 맑음서귀포13.8℃
  • 맑음북창원12.5℃
  • 흐림동해8.1℃
  • 구름많음문경7.8℃
  • 박무흑산도6.7℃
  • 맑음양평9.7℃
  • 맑음홍성8.4℃
  • 구름많음포항10.6℃
  • 흐림대구10.2℃
  • 흐림정선군8.0℃
  • 맑음서울9.7℃
  • 구름많음순천9.5℃
  • 맑음속초7.1℃
  • 흐림영덕9.5℃
  • 맑음홍천9.0℃
  • 흐림봉화8.0℃
  • 맑음동두천9.8℃
  • 구름많음의령군11.2℃
  • 맑음서산8.0℃
  • 연무광주8.3℃
  • 맑음철원10.4℃
  • 맑음남해12.4℃
  • 연무백령도4.0℃
  • 맑음부여7.6℃
  • 흐림청송군8.1℃
  • 맑음강진군9.2℃
  • 맑음원주7.9℃
  • 맑음춘천10.4℃
  • 맑음장흥9.7℃
  • 흐림금산8.0℃
  • 흐림순창군7.6℃
  • 흐림남원8.2℃
  • 구름많음거제11.6℃
  • 맑음통영11.4℃
  • 흐림양산시13.1℃
  • 박무목포7.0℃
  • 흐림영광군6.4℃
  • 흐림울진8.9℃
  • 구름많음창원12.2℃
  • 맑음인제9.1℃
  • 구름많음부산11.9℃
  • 흐림함양군9.8℃
  • 흐림거창9.0℃
  • 흐림대관령1.2℃
  • 연무전주7.2℃
  • 흐림정읍6.9℃
  • 맑음해남8.5℃
  • 맑음군산6.3℃